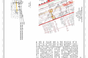
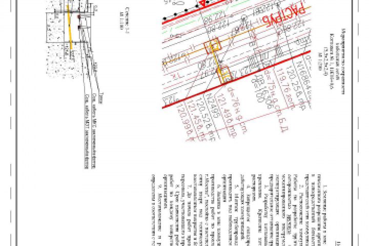
Мероприятия по сохранности инженерных коммуникаций
Для полной функциональности этого сайта необходимо включить JavaScript.
Москва
Разработка ПОС, ПОКР, ПОР
Александр Купцов
aleksandrkpos
Рейтинг: 81
не верифицирован
Всего отзывов:
0
Работ в портфолио:
11
Типовых услуг:
0
Работ на продажу:
0
Возраст:
36 лет
Зарегистрирован:
10.06.2015
Был на сайте:
2021-12-13 в 20:24
+79775670709
inbox
souzproekt.com
Предложить работу
Добавить в избранное
Добавить рекомендацию
Пожаловаться
Инженерия
24
0
Мероприятия по сохранности инженерных коммуникаций
Описание
Решение
Результат
Соавторы
Презентация проекта
Примеры реализации
Описание
Презентация проекта
Оценили проект:
0
×
Оценили проект
×
Авторизация
Для того чтобы оценивать проекты, вам нужно войти на сайт
Другие проекты
Все проекты
Схема демонтажных работ
Благоустройство территории
Организационно-технологическая схема
FREELANCE.RU
Toggle navigation
Нанять фрилансера
Заказчику
Найти по специализации
Найти по услугам
Провести конкурс
Разместить задание
Виртуальный HR
Найти студию
Другое
Найти работу
Фрилансеру
Найти задание
Присоединиться к команде
Участвовать в конкурсе
Предложить услугу
Другое
Возможности
Для заказчика
Для фрилансера
Вход
Разместить задание
▲